Search Specimen
Showing 50 of 1818 specimens (Total: 9416)
| # | Image | SRN | Scientific Name | Common Name | Type |
|---|---|---|---|---|---|
| 1201 |
|
UMTF 12104 | Arius nenga | Thickspined catfish | Non-type |
| 1202 |
|
UMTF 12103 | Arius maculatus | Spotted Catfish | Non-type |
| 1203 |
|
UMTF 12102 | Ketengus typus | Bigmouth sea catfish | Non-type |
| 1204 |
|
UMTF 12101 | Lobotes surinamensis | Tripletail | Non-type |
| 1205 |
|
UMTF 12100 | Ilisha kampeni | Kampen's Ilisha | Non-type |
| 1206 |
|
UMTF 12099 | Setipinna melanochir | Dusky-hairfin anchovy | Non-type |
| 1207 |
|
UMTF 12098 | Setipinna melanochir | Dusky-hairfin anchovy | Non-type |
| 1208 |
|
UMTF 12097 | Setipinna melanochir | Dusky-hairfin anchovy | Non-type |
| 1209 |
|
UMTF 12096 | Setipinna taty | Scaly hairfin anchovy | Non-type |
| 1210 |
|
UMTF 12095 | Setipinna melanochir | Dusky-hairfin anchovy | Non-type |
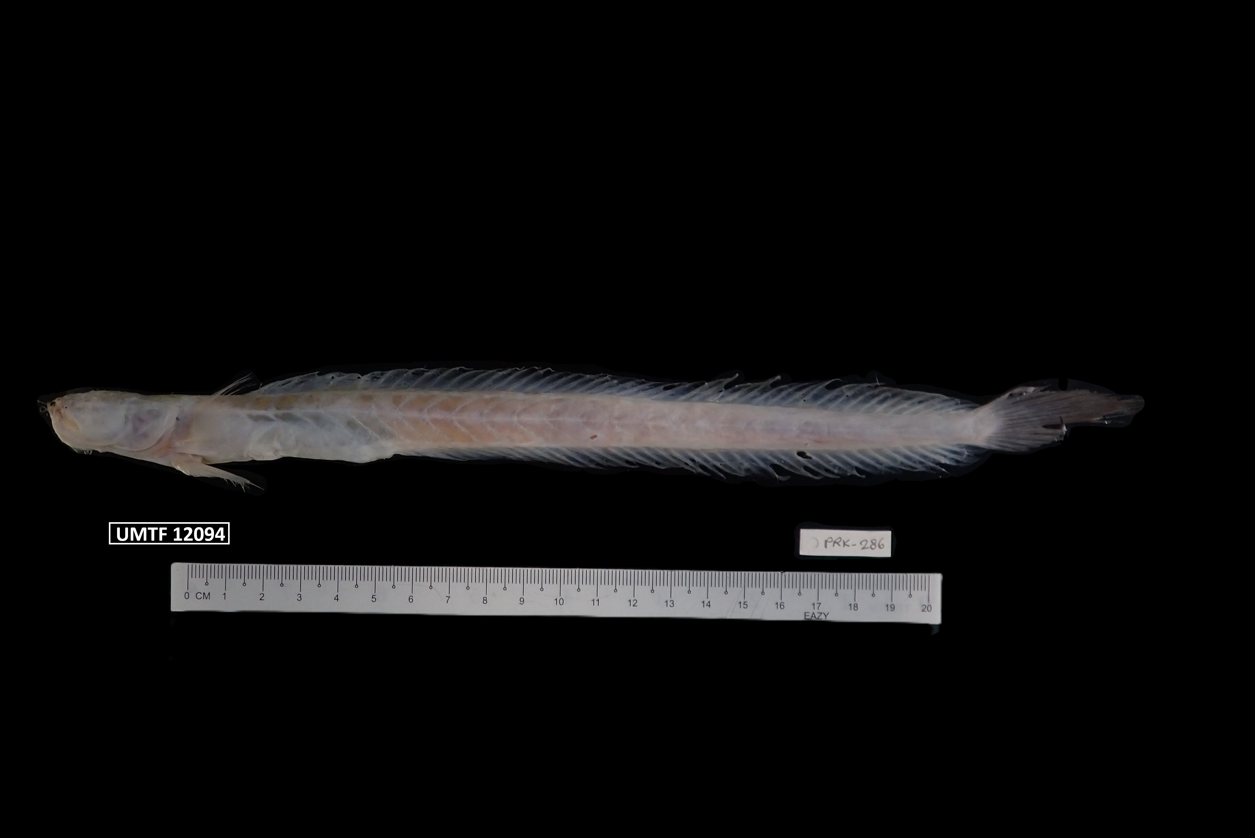
| 1211 |
|
UMTF 12094 | Odontamblyopus rubicundus | Rubicundus eelgoby | Non-type |
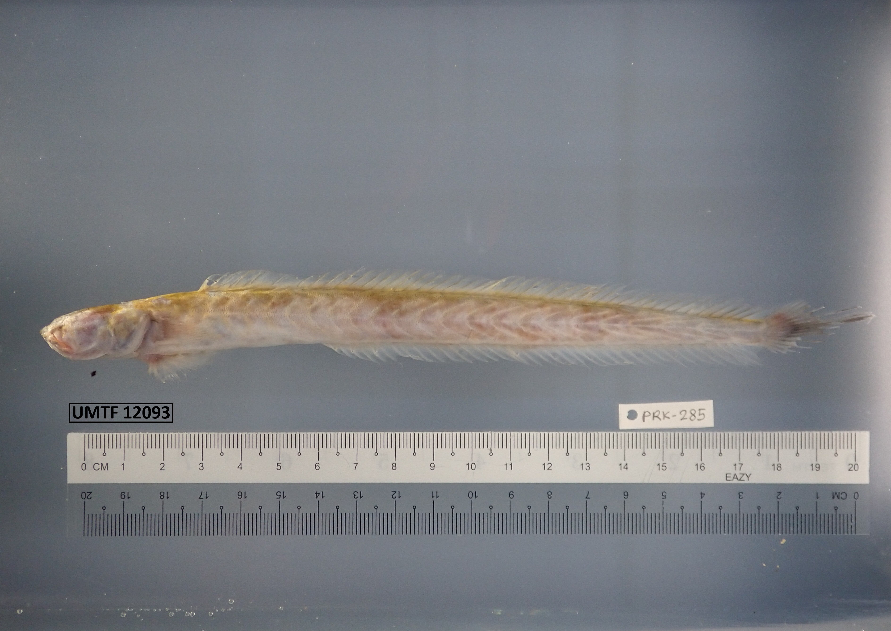
| 1212 |
|
UMTF 12093 | Odontamblyopus rubicundus | Rubicundus eelgoby | Non-type |
| 1213 |
|
UMTF 12092 | Ambassis urotaenia | Banded-tail glassy perchlet | Non-type |
| 1214 |
|
UMTF 12091 | Megalaspis cordyla | Torpedo scad | Non-type |
| 1215 |
|
UMTF 12090 | Thryssa hamiltonii | Hamilton's anchovy | Non-type |
| 1216 |
|
UMTF 12089 | Planiliza subviridis | Greenback Mullet | Non-type |
| 1217 |
|
UMTF 12088 | Eleutheronema tetradactylum | Fourfinger threadfin | Non-type |
| 1218 |
|
UMTF 12087 | Polynemus paradiseus | Paradise threadfin | Non-type |
| 1219 |
|
UMTF 12086 | Johnius coitor | Coitor Croaker | Non-type |
| 1220 |
|
UMTF 12085 | Johnius cf sasakii | Croaker | Non-type |
| 1221 |
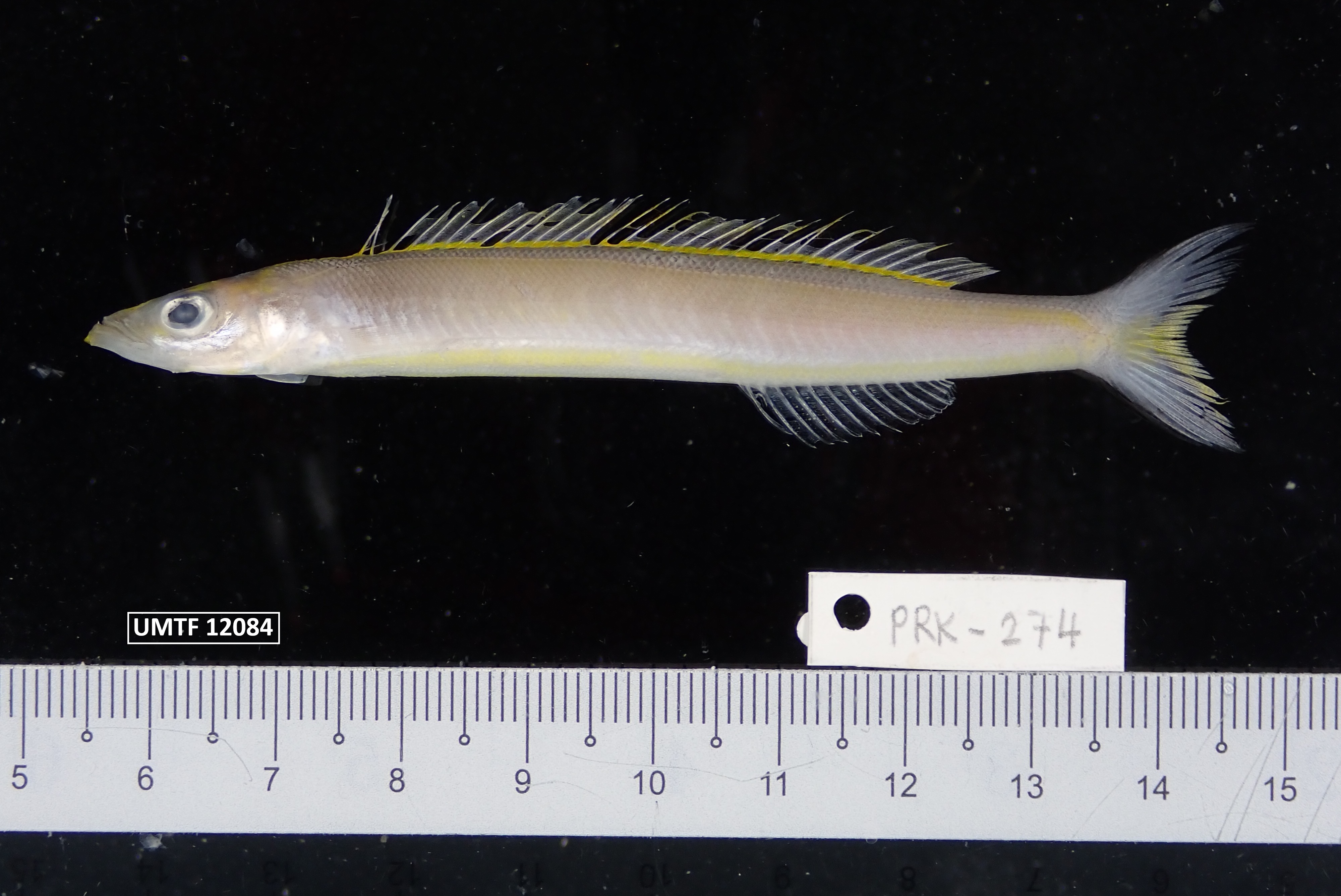
|
UMTF 12084 | Bleekeria nigrilinea | Black-edged fin sandlance | Non-type |
| 1222 |
|
UMTF 12083 | Bleekeria nigrilinea | Black-edged fin sandlance | Non-type |
| 1223 |
|
UMTF 12082 | Bleekeria nigrilinea | Black-edged fin sandlance | Non-type |
| 1224 |
|
UMTF 12081 | Brotula multibarbata | Goatsbeard brotula | Non-type |
| 1225 |
|
UMTF 12080 | Stolephorus indicus | Indian anchovy | Non-type |
| 1226 |
|
UMTF 12079 | Psenes arafurensis | Dusky driftfish | Non-type |
| 1227 |
|
UMTF 12078 | Seriolina nigrofasciata | Black-banded trevally | Non-type |
| 1228 |
|
UMTF 12077 | Cubiceps whiteleggii | Shadow driftfish | Non-type |
| 1229 |
|
UMTF 12076 | Trachinocephalus trachinus | Indo-Pacific blunt-nose lizardfish | Non-type |
| 1230 |
|
UMTF 12075 | Saurida isarankurai | Shortjaw saury | Non-type |
| 1231 |
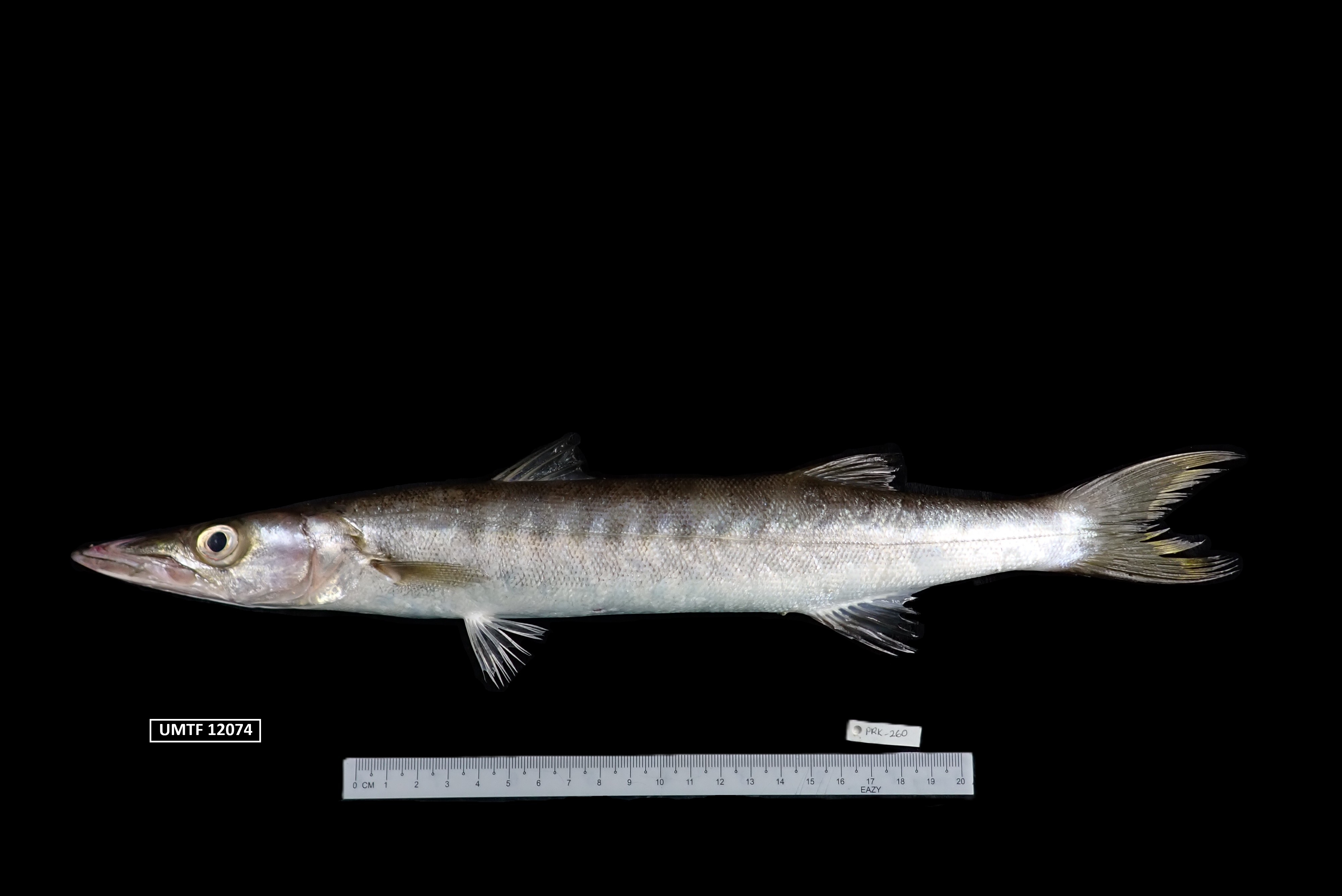
|
UMTF 12074 | Sphyraena putnamae | Sawtooth barracuda | Non-type |
| 1232 |
|
UMTF 12073 | Sillago sihama | Silver sillago | Non-type |
| 1233 |
|
UMTF 12072 | Deveximentum ruconius | Deep Pugnose Ponyfish | Non-type |
| 1234 |
|
UMTF 12071 | Photopectoralis bindus | Orangefin ponyfish | Non-type |
| 1235 |
|
UMTF 12070 | Nuchequula gerreoides | Decorated ponyfish | Non-type |
| 1236 |
|
UMTF 12069 | Equulites rivulatus | Offshore Ponyfish | Non-type |
| 1237 |
|
UMTF 12068 | Equulites rivulatus | Offshore Ponyfish | Non-type |
| 1238 |
|
UMTF 12067 | Parapercis diplospilus | Doublespot grubfish | Non-type |
| 1239 |
|
UMTF 12066 | Parapercis diplospilus | Doublespot grubfish | Non-type |
| 1240 |
|
UMTF 12065 | Parapercis diplospilus | Doublespot grubfish | Non-type |
| 1241 |
|
UMTF 12064 | Lethrinus lentjan | Pink ear emperor | Non-type |
| 1242 |
|
UMTF 12063 | Scolopsis curite | Whitecheek monocle bream | Non-type |
| 1243 |
|
UMTF 12062 | Scolopsis curite | Whitecheek monocle bream | Non-type |
| 1244 |
|
UMTF 12061 | Fistularia petimba | Red cornetfish | Non-type |
| 1245 |
|
UMTF 12060 | Pisodonophis cancrivorus | Longfin snake-eel | Non-type |
| 1246 |
|
UMTF 12059 | Polydactylus sextarius | Blackspot threadfin | Non-type |
| 1247 |
|
UMTF 12058 | Thryssa hamiltonii | Hamilton's anchovy | Non-type |
| 1248 |
|
UMTF 12057 | Kurtus indicus | Indian humphead | Non-type |
| 1249 |
|
UMTF 12056 | Ambassis vachellii | Vachelli's glass perchlet | Non-type |
| 1250 |
|
UMTF 12055 | Siganus canaliculatus | White-spotted rabbitfish | Non-type |
Taxon List
| # | Phylum | Image |
|---|---|---|
| 0 | Acanthocephala |
|
| 1 | Angiosperms |
|
| 2 | Annelida |
|
| 3 | Arthropoda |
|
| 4 | Brachiopoda |
|
| 5 | Bryozoa |
|
| 6 | Chlorophyta |
|
| 7 | Chordata |
|
| 8 | Cnidaria |
|
| 9 | Cyanobacteria |
|
| 10 | Echinodermata |
|
| 11 | Foraminifera |
|
| 12 | Magnoliophyta |
|
| 13 | Marchantiophyta |
|
| 14 | Mollusca |
|
| 15 | Nemertea |
|
| 16 | Ochrophyta |
|
| 17 | Platyhelminthes |
|
| 18 | Polypodiophyta |
|
| 19 | Porifera |
|
| 20 | Pteridophytes |
|
| 21 | Rhodophyta |
|
| 22 | Spermatophyta |
|
| 23 | Tracheophyta |
|